Juventud Rebelde - Diario de la Juventud Cubana

Igor Corcuera

Igor Corcuera

Sábado 12 abril 2025 | 10:12:17 pm.
Igor Corcuera, nuevo director titular de la Orquesta Sinfónica Nacional

Más imágenes

Cover de Noticia SUpRqm_25-10-2025_14.10.26.000000.jpg

Cover de Noticia SUpRqm_25-10-...

Marrero en Arabia Saudita.

Marrero en Arabia Saudita.

Manuel Marrero Cruz, Primer Ministro cubano a su llegada.

Manuel Marrero Cruz, Primer Mi...

Manuel Marrero Cruz, Primer Ministro cubano a su llegada.

Manuel Marrero Cruz, Primer Mi...

Joel Queipo Ruiz, presidente del CDP, durante la reunión con los grupos de trabajo.

Joel Queipo Ruiz, presidente d...

El portaviones USS Gerald R. Ford lleva una tripulación de casi 4.600 personas, incluyendo su ala aérea.

El portaviones USS Gerald R. F...

La llamada Convención de Hanoi, adoptada en diciembre de 2025 luego de cinco años de intensas negociaciones, fue suscrita por el ministro cubano de Justicia, Oscar Silvera Martínez.

La llamada Convención de Hanoi...

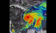
Aviso de Ciclón Tropical No. 9

Aviso de Ciclón Tropical No. 9

Melissa mantiene lento movimiento en el mar Caribe central

Melissa mantiene lento movimie...

Miguel Díaz-Canel Bermúdez de visita en Pinar del Río

Miguel Díaz-Canel Bermúdez de...