Juventud Rebelde - Diario de la Juventud Cubana

Huracán Erin

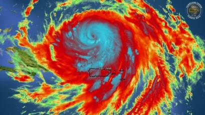
Huracán Erin

Lunes 18 agosto 2025 | 09:42:20 am.
Huracán Erin con categoría 4.

Más imágenes

Cover de Noticia 6VR4w1_07-10-2025_21.10.59.000000.jpg

Cover de Noticia 6VR4w1_07-10-...

Robiel Yankiel le dio a Cuba el único título.

Robiel Yankiel le dio a Cuba e...

Cover de Noticia kx2vfR_07-10-2025_21.10.09.000000.jpg

Cover de Noticia kx2vfR_07-10-...

Cover de Noticia xIvgjy_07-10-2025_21.10.02.000000.jpg

Cover de Noticia xIvgjy_07-10-...

Ser mujer en Gaza es exponerse a una violencia inimaginable, mientras los agresores aseguran que combaten el terrorismo.

Ser mujer en Gaza es exponerse...

Macron y Lecornu

Macron y Lecornu

Milicia Bolivariana

Milicia Bolivariana

Contingente de la tarea Educando por amor

Contingente de la tarea Educan...

Contingente de la tarea Educando por amor

Contingente de la tarea Educan...

Alfredo O’Farril Pacheco

Alfredo O’Farril Pacheco